地圖詳細

鼻頭鼻翼縮小手術過程
- 時間:2022-08-07
- QQ咨詢
- |
- 醫生答疑
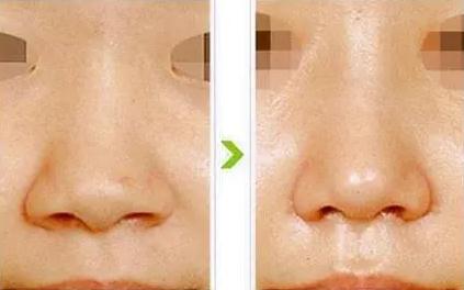
關于鼻頭鼻翼縮小手術可能一些愛美者還不是特別熟悉,但是那些鼻頭肥大、且鼻翼寬大的人,對這種方法應該不會陌生,鼻頭鼻翼縮小手術是解決鼻部肥大的最直接的方式,解決鼻部肥大的情況大多數人用的都是鼻頭鼻翼縮小手術,那么鼻頭鼻翼縮小手術到底是什么樣的呢?一起來看看吧!
將鼻頭鼻翼縮小,要通過外科手術的方法,而且目前只有外科手術的方法才能夠有效實現鼻子塑形的效果。鼻頭鼻翼縮小,是通過一定的手術方式,從視覺上縮小鼻頭鼻翼的面積,以實現鼻子整形的效果,具體的手術做法,要依據求美者的個人情況而定。
如果求美者的鼻子不夠高挺,還需要進行隆高鼻梁的手術,以使鼻子看起來更加精致挺拔。只要愛美的你,選擇正規、專業的整形醫院,鼻頭鼻翼縮小的效果會是十分好的,資深專家會為你定制最適合、最佳的手術方案,以達到最佳的鼻子整形效果,也能夠保證手術的安全性。

對于鼻頭肥大、鼻翼肥厚的情況,一般會采用縮鼻頭、縮鼻翼的手術來解決這樣的鼻部缺陷。在手術過程中,通常需要切除部分鼻翼軟骨和鼻子穹窿部組織,對于并有鼻翼外側腳肥大的求美者,則需要適量切除肥大部分的組織,以達到最佳的手術效果。切記,要選擇正規的整形美容機構進行手術哦!